Due to the health concerns created by Coronavirus we are offering personal 1-1 online video walkthough tours where possible.




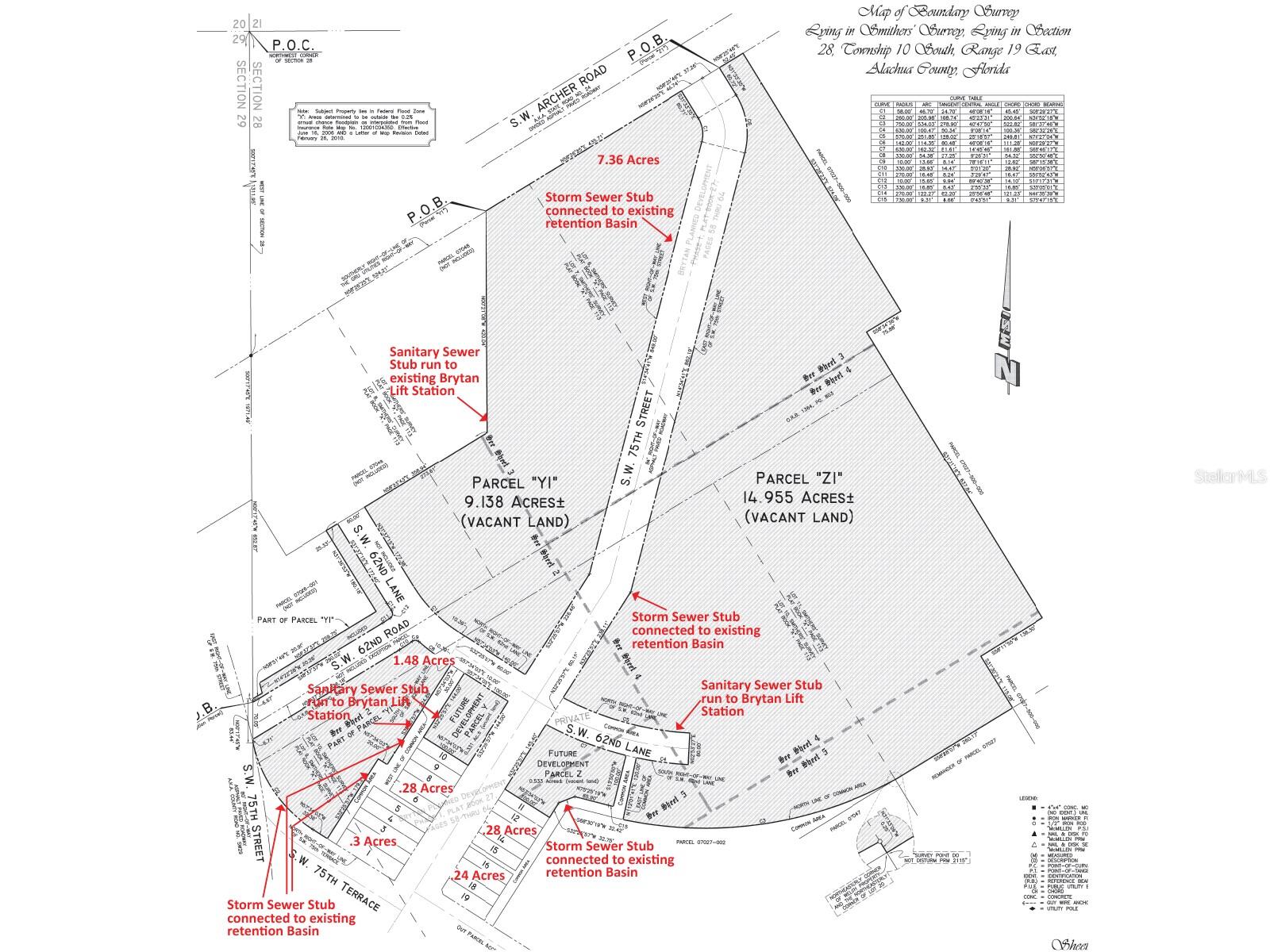
This offering consists of approximately 13.2 acres, identified as Parcel C in the attached exhibit. Additional contiguous acreage is available and may be purchased separately from the seller. This is an outstanding mixed-use commercial development opportunity located at the high-traffic SW corner of Archer Road and Tower Road. The site is ideal rental apartments or condominiums development. The property can be subdivided allowing for pad sales, phased development, or multi-tenant strategies. The site has the following infrastructure already built: major roads, stormwater basins, sewer lift station, water, electric, gas, and fiber-optic internet already in place—significantly reducing development costs and timelines. Traffic counts include approximately 30,000 AADT on Archer Road and 17,500 AADT on Tower Road, providing excellent exposure and access. Located just 2.5 miles from the I-75 interchange, the property benefits from strong regional connectivity. The surrounding area is anchored by dense and expanding residential development, including the Brytan PD and Grand Preserve PD, encompassing approximately 200 acres, with 300,000 SF of commercial space and 940 homes planned. The trade area includes 135,383 residents and 52,948 households within a 15-minute drive, supporting long-term tenant demand and investor returns. Listing agent is related to the seller.
| 56 minutes ago | Listing updated with changes from the MLS® | |
| 4 hours ago | Listing first seen on site |
Did you know? You can invite friends and family to your search. They can join your search, rate and discuss listings with you.